1 Camere 1 Bagni 82 m2
Caratteristiche principali
Codice
V001879
Prezzo
89.000 EUR / trat.
Classe
F (175,64 [kWh/m²a])
Locali
3
mq Terrazzo
20
Altre caratteristiche e accessori
Stato Immobile
Buono
Grado
Medio
Posizione
Collina
Panorama
Vista Monumento
Lati Liberi
2
Giardino
No
Arredi
Possibilità
Tipo Soggiorno
Soggiorno
Tipo Cucina
Semi Abitabile
Riscaldamento
Autonomo
Tipo Impianto
Altro
Fonte Energetica
Pellet
Acqua Calda
Autonoma
Infissi
Legno
Serramenti
Buono
Persiana
Oscurante Legno
Pavim. Giorno
Graniglia
Pavim. Notte
Ceramica
Pavim. Cucina
Graniglia
Pavim. Bagno
Ceramica
Cantina - Solaio
Cantina
Accesso Disabili
No
Accessori
Camino, Stufa a Pellet
Nel pittoresco borgo di Castelvecchio di Rocca Barbena, offriamo in vendita una Casa di Paese, indipendente su due lati, che si estende dal suolo al tetto.
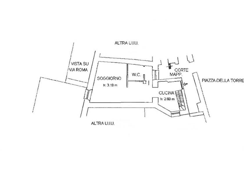
La proprietà si articola su diversi livelli ed è composta come segue:
- Piano terra: da un cortile accessibile dalla Piazza della Torre, condiviso con la proprietà adiacente, si entra in un accogliente soggiorno con camino e una scala che conduce al primo piano. Qui troviamo anche un disimpegno, una spaziosa camera da letto matrimoniale, un antibagno e un bagno.
- Piano primo: una cucina semi-abitabile che si apre su un ampio Terrazzo, dal quale si può godere di una vista panoramica mozzafiato sul Castello e sul borgo sottostante.
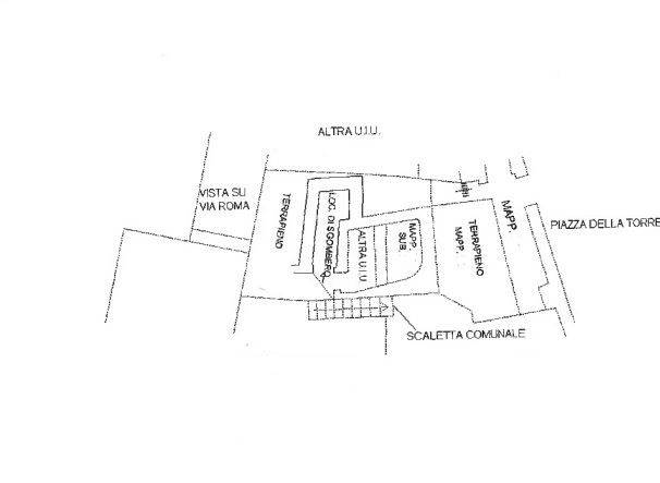
- Piano seminterrato: accessibile da un ingresso indipendente su via Roma, vi è un grande locale magazzino di 35 mq allo stato grezzo. Dotato di un soppalco, è perfetto per essere trasformato in una taverna o per ampliare ulteriormente l'abitazione.
- Piano interrato: un'ampia cantina raggiungibile dal cortile comune.
La proprietà include anche due cantine situate al piano mezzanino.

Castelvecchio di Rocca Barbena fa parte dell'elenco de "I Borghi più Belli d'Italia" ed è stato premiato con la "Bandiera Arancione" dal Touring Club Italiano.
Castelvecchio è il primo e il più incantevole dei borghi murati della Val Neva, circondato dal castello che lo sovrasta maestosamente.
Il castello fu eretto dai Clavesana nel XI secolo.
Il borgo si distingue per le sue antiche costruzioni in pietra, i portali in tufo, i tetti terrazzati e i sottotetti ad arco utilizzati per essiccare fichi e funghi. Si notano anche le forme dei forni esterni alle mura delle case, dove si cuoceva il pane per la comunità, e le cornici bianche delle finestre che evocano motivi dell'area alpino-provenzale.
Le case fortezza del borgo, collegate da archi antisismici lungo le strade interne, si fondono con l'aspetto mediterraneo delle coperture terrazzate, che sembrano conservare il ricordo delle loro origini lontane: si narra che i primi abitanti salirono qui dalla costa per sfuggire alle incursioni saracene.
Video
via Aratro , Castelvecchio di Rocca Barbena (SV)
Cookie preference